$75,400
For more information regarding the value of a property, please contact us for a free consultation.
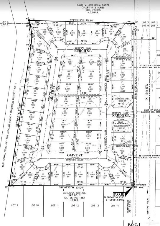
3107 N Elm AVE Edinburg, TX 78541
8,369 Sqft Lot
Key Details
Property Type Vacant Land
Sub Type Residential Lot
Listing Status Sold
Purchase Type For Sale
Subdivision Stone Oak
MLS Listing ID 403423
Sold Date 03/25/24
HOA Fees $50/ann
HOA Y/N Yes
Annual Tax Amount $1,000
Tax Year 2023
Lot Size 8,369 Sqft
Acres 0.1921
Property Sub-Type Residential Lot
Source Greater McAllen
Property Description
Welcome to Edinburg's newest gated community of Stone Oak! This is an exclusive opportunity to own a lot(s) & build your dream home in a prime subdivision in the path of progress we are seeing in Edinburg. Stone Oak boasts 49 residential lots ranging from 7,932-9,551 sq. ft. The HOA will make sure restrictions are adhered to when building your home. HOA highlights include, Min. living sq. ft. for single story-1,800, Min. living sq. ft. for two story- 2,200, front exterior walls shall consist of brick or stucco, roof slopes shall be between 5/12 and 10/12, & all residences must have at least a two-car, front or side entry garage, which garage must be attached. Stone Oak is just 10 minutes from schools, shopping centers, parks, recreational facilities, UTRGV, & Expressway to commute in and out of town. Completion of Stone Oak is est. for June 2023. Call us today! DIRECTIONS: From 107, head North on 10th St. You will pass Rogers Rd. Stone Oak Subdivision will be on the Left Side.
Location
State TX
County Hidalgo
Community Curbs, Sidewalks
Exterior
Fence Partial
Community Features Curbs, Sidewalks
Utilities Available Electricity Connected, Water Connected, Sewer Connected
View Y/N No
Building
Faces FROM 107, head North on 10th St. You will pass Rogers Rd. Stone Oak Subdivision will be on the Left Side.
Sewer City Sewer
Water Public, City
New Construction No
Schools
Elementary Schools Zavala
Middle Schools Longoria
High Schools Edinburg North H.S.
Others
Tax ID T210000235000601
Read Less
Want to know what your home might be worth? Contact us for a FREE valuation!

Our team is ready to help you sell your home for the highest possible price ASAP



